Moree

6/113 Balo Street

$100,000 with 5.6% net return

 

Retail Store in Heart of CBD

The property is well located in the heart of the Moree CBD and is being leased for.

Current lease in place at $250 p/w.

Approx. 5.6% return

This premise comprises prime office space, offering plenty of showroom space and storage for your business.

This well located premise has vinyl flooring, equipped with ceiling fans and split system air conditioning. A dressing room is located at the rear of premise, with storage and toilets accessible.

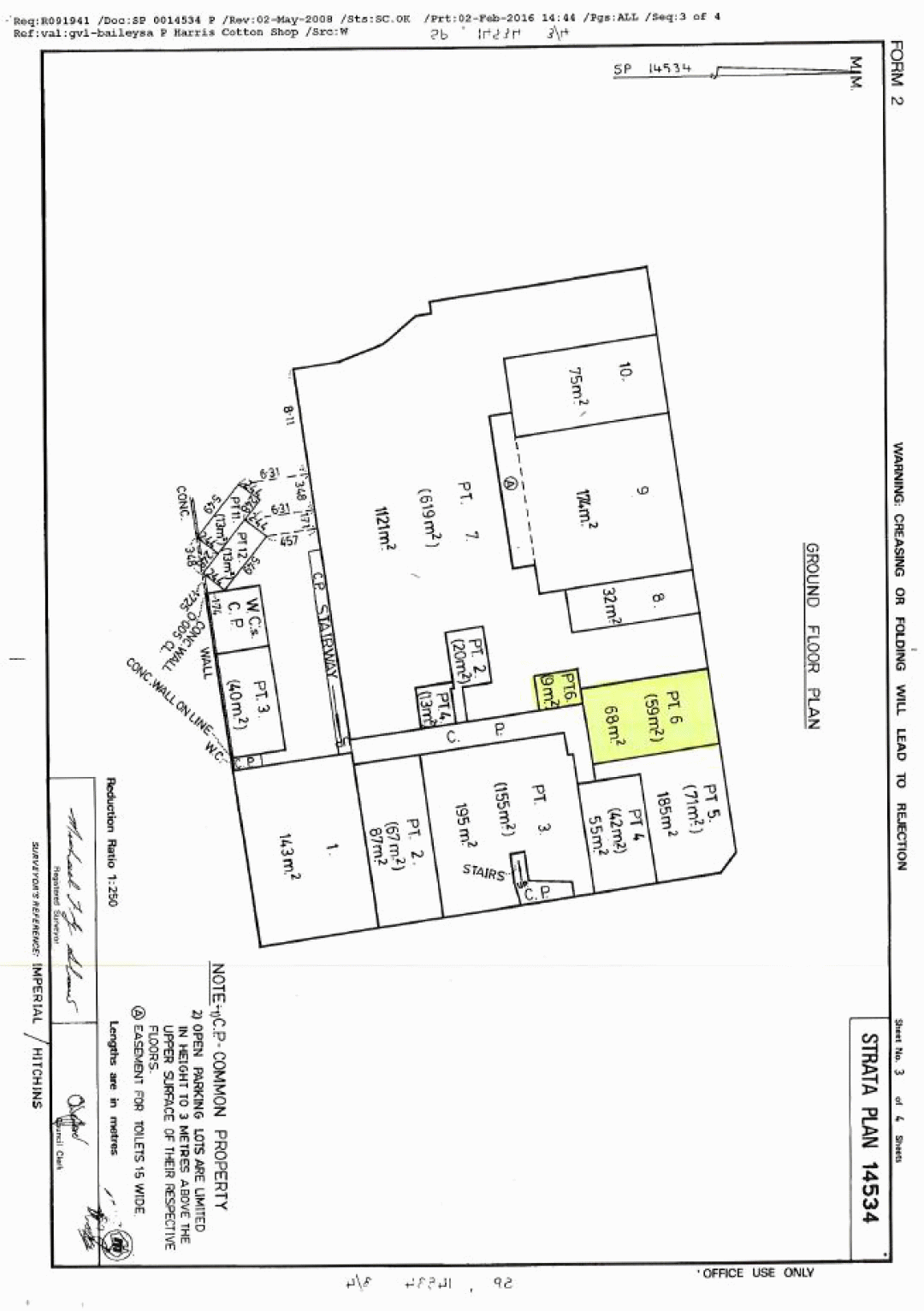
Showroom: 59 m2
Storage: 9 m2

RATES:
Tamworth Strata Management $691.85 per quarter
Moree Plains Shire Council Rates $638.00 per quarter

Zoned B3 - Commercial Core vide Moree Plains Shire LEP 2011 and is perfect for any retail or goods and services you have to offer to Moree.


"All care has been taken in compiling this information sheet but it is prepared on instructions and details supplied by the vendor, for whom we act as agents only, and we cannot accept any responsibility for errors or omission (if any). Intending purchasers should satisfy themselves as to the correctness of these particulars."

Join our mailing list and we guarantee you will be informed of properties before they hit the net.

Join our Mailing List
Submit